Prefeitura propõe nova via para impulsionar expansão em Marília
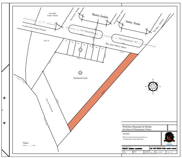
A Prefeitura de Marília encaminhou à Câmara Municipal, nesta terça-feira (27), um projeto de lei que prevê a desafetação de uma área pública e o prolongamento da rua Bento Biancardi, no bairro Jardim Santa Paula. A medida tem como objetivo atender à expansão urbana e viabilizar a implantação de um novo empreendimento habitacional na região.
A proposta, que tramita em regime de urgência, autoriza a transformação de uma área de 1.683,752 metros quadrados em arruamento, permitindo a abertura formal da via entre a rua José Garcia Garcia e uma área de preservação.
O texto também redefine a destinação de uma área remanescente de 37.401,526 metros quadrados, que passa a integrar os bens dominiais do município.

Segundo a exposição de motivos do Executivo, o prolongamento da via busca regularizar uma situação já existente no local, onde há uma comunidade com cerca de 80 residências consolidadas, ainda em processo de regularização fundiária. A região também deverá receber um novo conjunto habitacional com 304 unidades, a ser implantado pela empresa BRNPAR Empreendimentos Ltda., dentro do programa Nossa Casa.
De acordo com o projeto, a abertura da via é considerada estratégica para garantir mobilidade, acessibilidade e integração entre os núcleos habitacionais já existentes e o futuro loteamento. A proposta prevê ainda a implantação de infraestrutura básica, como pavimentação asfáltica, guias, sarjetas, iluminação pública e sistemas de drenagem, conforme estudos técnicos.
A Prefeitura argumenta que o prolongamento da rua Bento Biancardi deve facilitar o acesso a serviços públicos, melhorar o fluxo do transporte coletivo e contribuir para o desenvolvimento urbano e social da região.
O projeto segue agora para análise das comissões permanentes da Câmara antes de ser levado à votação em plenário.